
Prime commercial opportunity in the heart of Limoges! This 1.15 acre lot is ideally located across from the Nation Health Centre and surrounded by growing residential neighborhoods and subdivisions. it is zoned C-52-H and it offers exceptional visibility for a business that serves the most vibrant and expanding local community. Whether for office, retail, restaurant or recreational/sports facilities and space. 24 Hours Irrevocable on all offers.
| MLS # | X12469777 |
|---|---|
| Listing Type | For Sale |
| Sub-Type | Resale |
| Status | Sold Conditional |
| Year | 0 |
| Days On Site | 22 |
| Listing Provided By | RE/MAX HALLMARK EXCELLENCE GROUP REALTY | X12469777 502300 |
| SQ Feet | 50,442 |
|---|---|
| Acreage | 1.16 |
| Community Features | Major Highway, Recreation/Community Centre |
|---|
| Utilities | None |
|---|---|
| Sewer | None |
| Tax Annual Amount | 3825 |
|---|---|
| Tax Type | Annual |
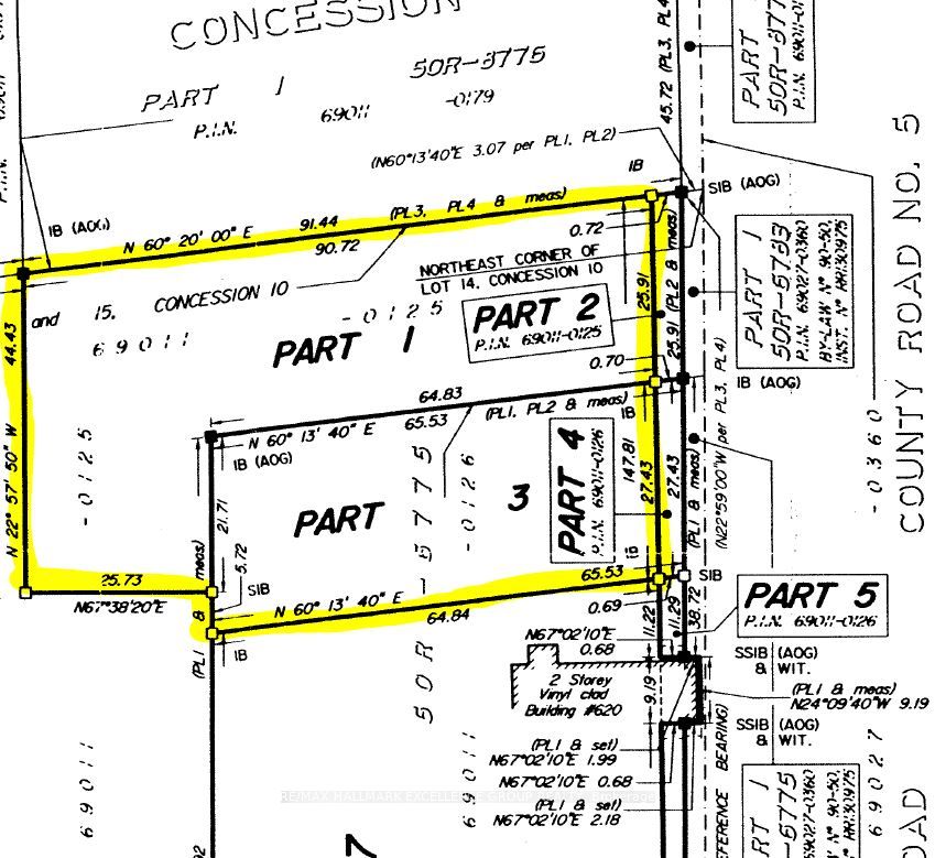
| Tax Legal Description | FIRSTLY: PART LOT 14, CONCESSION 10, PART 3 PLAN 50R9398; RUSSELL, SECONDLY: PART LOT 14, CONCESSION 10, PART 1 PLAN 50R9398 TOWNSHIP OF RUSSELL |
| Tax Year | 2025 |
| Province | ON |
|---|---|
| Region | Prescott and Russell |
| City | The Nation |
| Postal Code | K0A 2M0 |
| Area | 616 Limoges |
| Province | ON |
|---|---|
| Region | Prescott and Russell |
| City | The Nation |
| Postal Code | K0A 2M0 |
| Area | 616 Limoges |