
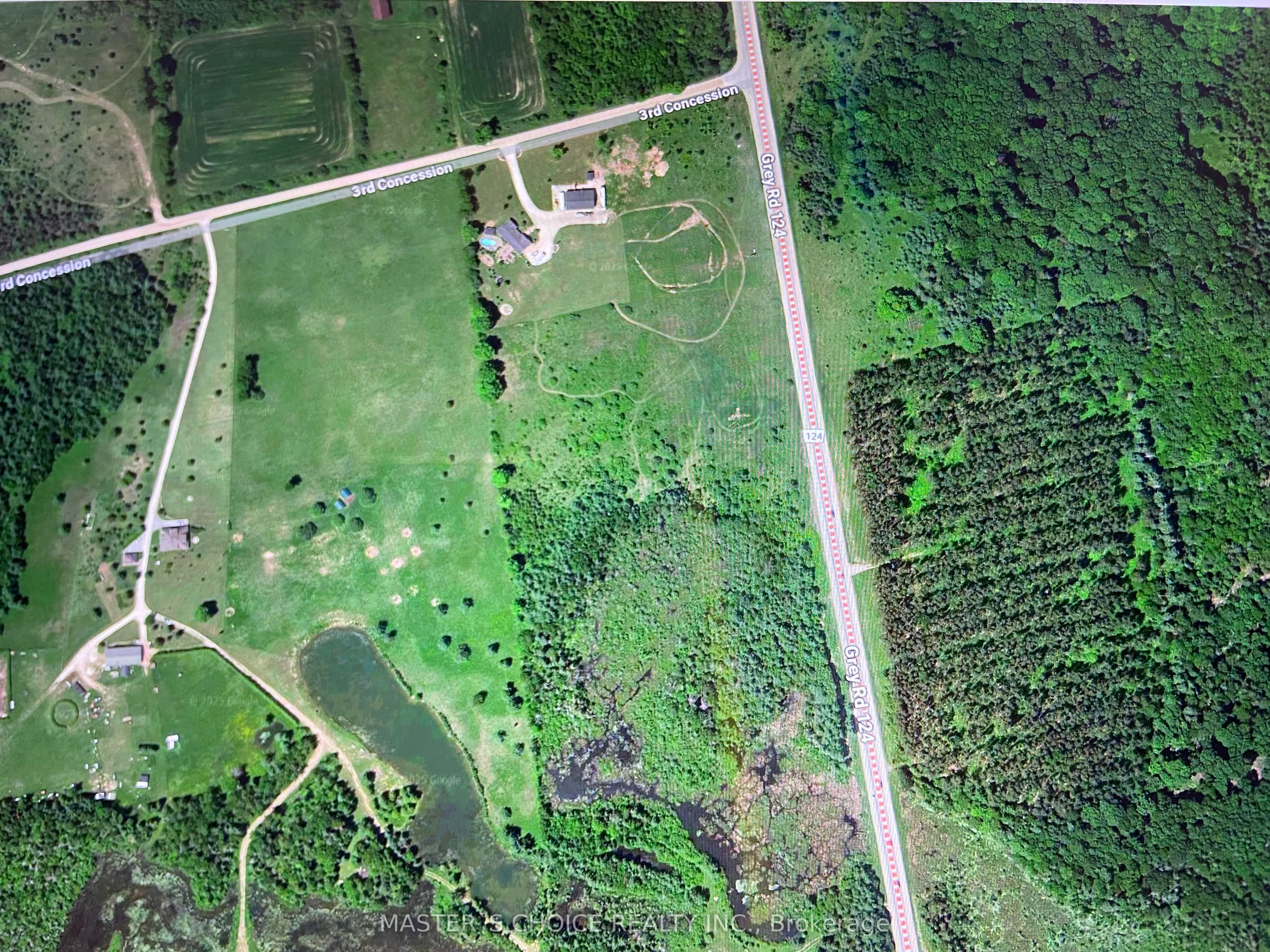
5-acre vacant land. A nature lovers paradise, located in the lovely Municipality of Grey Highlands, right on the border of the highly sought-after Clearview Township. With just a hop, skip and a jump across the road, you will find 150 acres of county-owned land featuring hiking and biking trails, great for cross-country skiing, snowshoeing and much more. The perfect location for the outdoor enthusiast! Just a short drive to Collingwood, Creemore or Wasaga Beach and just over an hour to the city! If you are looking for a rural property in a highly desirable area, this is the one! Buyer and Buyer's agent to do their own due diligence in terms of obtaining permits for future use. owner spent $$ to make an entrance to the land recently.
| MLS # | X12461967 |
|---|---|
| Listing Type | For Sale |
| Sub-Type | Resale |
| Status | New |
| Year | 0 |
| Days On Site | 25 |
| Listing Provided By | MASTER`S CHOICE REALTY INC. | X12461967 128500 |
| Acreage | 5.05 |
|---|---|
| Water Front | None |
| Tax Annual Amount | 0 |
|---|---|
| Tax Legal Description | PT LT 80 CON 2 NDR OSPREY AS IN GS153412; GREY HIGHLANDS |
| Tax Year | 2025 |
| Province | ON |
|---|---|
| Region | Grey County |
| City | Grey Highlands |
| Postal Code | N0C 1M0 |
| Area | Grey Highlands |
| Province | ON |
|---|---|
| Region | Grey County |
| City | Grey Highlands |
| Postal Code | N0C 1M0 |
| Area | Grey Highlands |